摘要:一年一度的“中国奥斯卡”——第24届金鸡百花电影节刚刚落下帷幕,作为举办场所的吉林市人民大剧院在今年电影节上呈现了最完美的效果。工期紧、任务重,我们在不到六个月的时间内出色完成了工程内装饰任务,BIM技术在该项目的装饰施工中起着不可或缺的作用。
作者丨陈岭
单位丨苏州金螳螂建筑装饰股份有限公司研发中心
一、项目简介

吉林人民大剧院项目位于吉林省吉林市松花江畔,为吉林省政府重点工程项目。金螳螂承建标段主要包括公共区域、大小贵宾室和四个电影院,其中作为剧院亮点重点的大堂顶部采用跌级双曲面流线型设计,为解决现场存在的诸多难题,金螳螂管理团队组建了BIM小组,借助三维数字化施工技术保证铝板吊顶的顺利完工。
二、施工难点
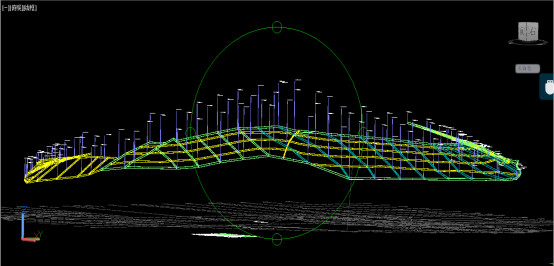
1、吊顶面积大,多曲面。剧院的主体结构是采用的是球形设计,吊顶与外幕墙的接口处为高低起伏曲线设计,内墙与外幕墙间的吊顶采用弧形设计。多曲面外加“穹顶”形的设计施工难度非常大。

2、吊顶横向纵向均为弯曲弧形造型,跌级灯槽人工定点放线较为困难。大厅墙面为GRG造型,由于墙面存在弧度造型和门洞、消防栓等,GRG要满足造型需求并与门洞、消防栓等精准对应存在困难。

3、现场限制性大。因设计的顶面与实际场地多处地方有碰撞,墙体非常突出的柱墩,挑檐板,以及预留的空调空洞等,这些都在制约着内墙的标高。
4、网状钢结构的固定要求苛刻。二次钢构转换层的固定点不能焊接,也不能抱箍,只能套接在主体结构的球形受力点上,固定非常困难。另外球形点位的定位也是一个非常大的难题。

5、原设计图提供了数据较少,且内装设计与外幕墙的设计存在很多的矛盾,很多问题要依照现场实际情况深化调整。
三、现场BIM施工
1、现场三维扫描。采集现场1:1真实点云数据,得出点云模型。

2、坐标系匹配。利用三维模型及现场采集到的特征点数据将现场坐标系与模型和图纸进行匹配,方便后期施工运用。

3、设计模型建立。现场的建模工作主要由“犀牛”软件完成。通过对已有图纸的分析建立初始模型。

因为部分区域的设计顶面到钢结构主体的高度超过10米,现场还需要制作钢结构转换层。由于涉及到钢结构承重问题,转换层模型的建立与调整要求厂家全程参与。

4、设计模型模拟安装,碰撞调整。将初始模型根据轴网和特征柱位置匹配到现场点云模型中,综合考虑预留转换层、风口、柱墩等部位,将模型大面调至标高适合部位,查找碰撞部位。


5、综合碰撞调整。转换层需随铝板弧度造型走,在完成铝板初步碰撞调整后,结合转换层钢架模型综合碰撞,调整模型与现场不符部位。钢架调整需得到厂家确认。


6、分模下单。经过碰撞调整,并经各方确认后的模型即可进行分割、排版下单工作。由于顶面铝板呈放射状,所以下单尺寸并非模数化,每一块铝板的尺寸及角度都不一样,为方便管理,每块铝板下单时都有唯一编号,对规格、安装位置等信息进行标注;


7、定位安装。在前期模型调整完毕,完全匹配现场点云模型后即可进行安装定位工作。因为模型坐标已与现场吻合,直接在模型中提取相关数据即可直接在现场施放,十分快捷精准。

鉴于现场施工环境及安装工艺,无需定出每块铝板安装点。将铝板分为若干小区域,只需定出该区域铝板安装起始点位后进行安装,再整体检核该区域即可。
8、安装效果。




吉林大剧院项目是我们在BIM探索实践中的又一个成功案例。通过在工程的一线不断探索,将BIM技术更高效、更普遍的运用到建筑装饰中来。
苏州金螳螂建筑装饰股份有限公司研发中心

BIM建筑网